相对于二维的限制,三维肿瘤微环境模型在重建细胞功能、信号通路传导、药物筛选等方面具有极大的优势。在过去的二十年里,人们开发了许多微流体支持的三维细胞培养系统,即器官芯片,来构建人体组织三维结构模型及模拟其动态过程,包括肿瘤模型。在哺乳动物体内,淋巴管的功能是促进淋巴液的收集和最终运送回血管。此外,细胞间质的稳态是由微循环系统维持的,其基础是血管的渗透和淋巴管的吸收。淋巴引流系统与癌症的关系更密切,它不仅在其转移中发挥着关键作用,而且为大多数体内使用的抗肿瘤药物提供了额外的循环途径。因此,设计一种具有血管和淋巴管功能微循环网络的体外肿瘤模型是必不可少的。
为了准确模拟复杂的肿瘤微环境,哈佛大学医学院Yu Shrike Zhang教授课题组设计了一种通过同轴生物打印技术构建具有可灌注的中空血管和一端封闭的中空淋巴管,并整合于含有乳腺癌细胞明胶水凝胶中,构成一对同时含有血管和淋巴管的肿瘤器官芯片(图1)。该平台的构建可实现药物输送和淋巴回收的微循环,从而更好地模拟生物分子和药物的体内转运动力学。
图1 生物打印构建具有血管/淋巴管的肿瘤微环境仿生芯片(TOC-BBL)模型示意图。
该团队通过优化生物墨水的配方,将直链或多臂聚乙二醇高分子材料引入生物墨水中,从而得到具有不同渗透性能的中空管道(图2)。
图2 生物打印构建血管及淋巴管结构示意图。
图3可见不同生物墨水组合打印的管道具有不同的渗透性。由此可根据体内血管和淋巴管的渗透系数选择对应的生物墨水,分别打印可灌注和一端封闭的中空管,构建含有类血管及淋巴管的肿瘤芯片,优化并达到与体内接近的药物转运动力学。
图3 牛血清白蛋白在不同中空管中不同时间的渗透结果。PEGDA:poly(ethylene glycol)-diacrylate;PEGOA:poly(ethylene glycol)-octoacrylate。
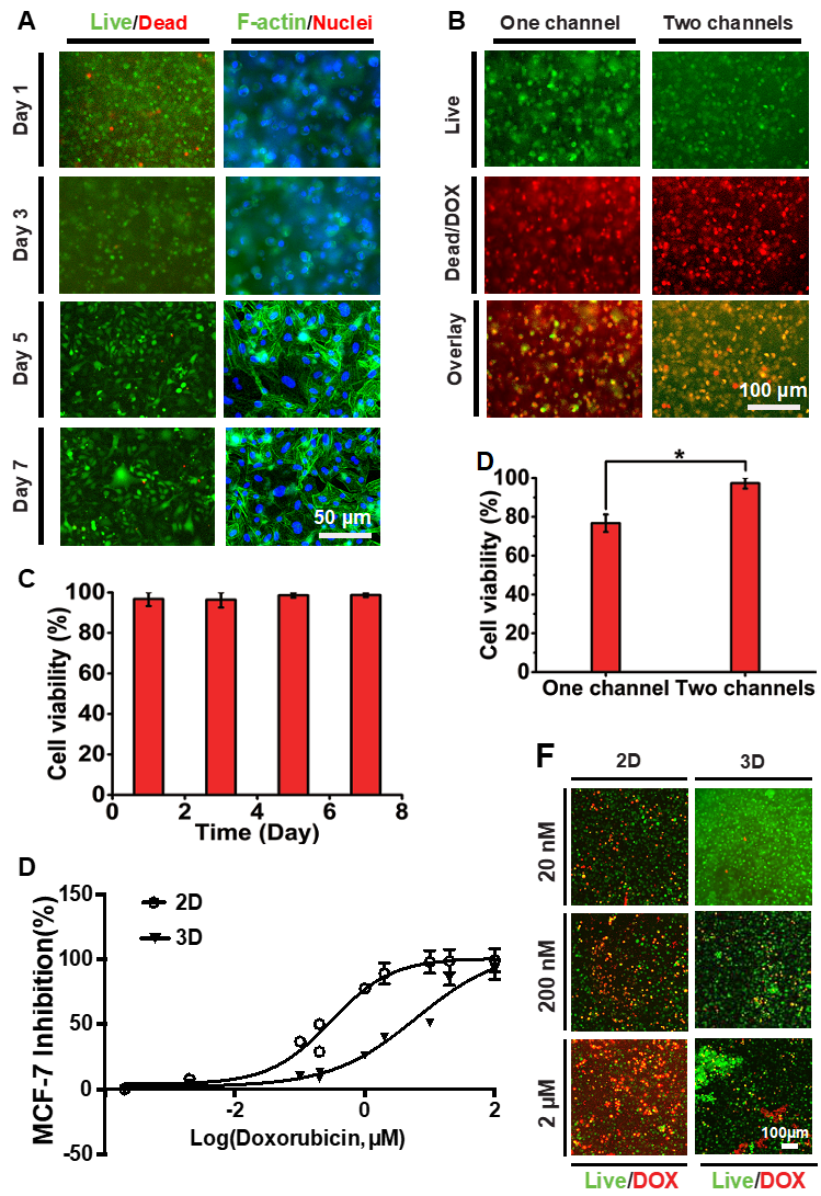
研究人员考察了芯片中细胞不同时间、单/双通道的存活情况,并比较doxorubicin作用MCF-7乳腺癌细胞二维培养与芯片中三维培养的不同作用效果。与单通道相比,含有淋巴回流的TOC-BBL中药物的扩散速度明显增加;与二维单层培养相比,TOC-BBL中抗肿瘤药物IC50大大提高,进一步证实了淋巴引流系统与癌症药物筛选的密切关系。TOC-BBL的应用为大多数抗肿瘤药物的筛选提供了更加接近体内的循环途径。
图4 TOC-BBL平台药物抗肿瘤筛选结果。
以上相关成果发表在Advanced Functional Materials (2019, 29, 1807173)上,并被选为封底文章。论文的第一作者为江苏大学药学院曹霞,目前在美国哈佛医学院Yu Shrike Zhang教授课题组进行访学,通讯作者为Yu Shrike Zhang教授。
论文链接:https://onlinelibrary.wiley.com/doi/abs/10.1002/adfm.201807173
- 中科院动物所顾奇团队 Adv. Mater.:研发 CAMP 冷冻保存生物墨水 - 实现黏附细胞 “即取即用” 3D 生物打印 2026-04-03
- 深圳大学微流控与软物质课题组 AFM:多材料DLP生物打印构建具有可灌注网络的多组分异质水凝胶 2024-04-17
- 广东医大赵名艳、暨大刘明贤 Compos. Sci. Technol.:3D打印构建海藻酸钠/埃洛石复合陶瓷支架用于骨再生 2024-03-11
- 宁波材料所陈涛研究员/阎敬灵研究员 ACS Nano:利用定向离子传输编程均相水凝胶 - 实现快速三维形态重构 2026-04-17
- 大连工大王海松教授团队 Carbohyd. Polym.:受皮肤启发的纤维素基水凝胶用于电化学纳米塑料去除 2026-04-14
- 武汉大学吕昂团队 AFM:相分离增强的纤维素/海藻酸压离子水凝胶用于高灵敏自供电传感 2026-04-13
- 哈佛医学院Y. Shrike Zhang教授课题组 Adv. Mater.: 脱细胞基质生物墨水的快速体积生物打印 2024-01-25